”人間” くまもと
今、日本が大きく変わろうとしている! 将来の子供たちに私達は、何を残すのか?私達に何が出来るのか?
2006年05月
次の10件 >
2006/5/31
21:19
今村昌平監督死す
映画監督「今村昌平」氏がなくなった。
定めとはいえ、残念な事だ。
映画「うなぎ」が好きだった。
子供と一緒に、もう一度見てみたい。
カテゴリ:
日記
日記
2006/5/30
9:52
新・国家エネルギー戦略
油田開発
2006・5・30日経5ページ
エネルギー基本計画
*もう少しスピードアップを*
経済産業省は、「新・国家エネルギー戦略」をまとめた。
1)2030年までに、エネルギー効率を30%改善。
(1973年から現在までに37%効率改善)
2)原油安定確保に向け、資源外交強化。
新戦略
省エネ策
1)蓄熱など省エネ技術開発支援
2)家電・自動車の省エネ・燃費基準強化
3)太陽光発電等普及で、石油依存度を40%以下に低減
(2073年76%・現在50%)
3)バイオエタノール利用等で、運送部門石油依存を100%から80%へ
資源獲得
1)日本企業の自主開発原油比率を15%から40%へ
2)開発事業への公的投資強化
3)北極等投資リスクの高い地域の開発促進
石油紛争・環境問題等を考えると、エネルギー問題解決のスピードを速めて欲しいものだ。
がんばれ 経済産業省!!!
カテゴリ:
2006/5/29
8:26
文化に根ざす革新
日本経団連
2006・5・29日経1ページ
御手洗日本経団連会長の言葉
*少し安心*
日本のこれからを、企業、経済の面から語った言葉を書いてみたい。
1)経済のグローバル化は、止めようがない。
技術や製品の優劣は、世界規模の競争で決まる。
だが、企業組織のあり方まで、世界中で同質化していくわけではない。
国や文化ごとのローカリティー(地域性)は、必ず残る。
独自の「文化」こそが、日本がもっと強くなる基盤だ。
2)キャノンが終身雇用にこだわるのは、それが息の長いイノベーションを生み出す
源泉になっているからだ。
終身雇用があればこそ、日本では目先の業績にとらわれない基礎研究などに資源
を配分する事が出来る。
3)日本のサービス産業の生産性は確かに低い。
小さい商店や食堂が多数あるからだろう。
しかし、それを経済的な判断で、切り捨てられるだろうか。
日本経団連も新会長が就任した。
これからは、大企業偏重ではなく中小企業も含めたグローバル化経済の構築に、力を注いでもらいたい。
将来の日本そして世界のために。
御手洗会長なら出来るかも、この会長地方出身(大分県)らしい。
がんばれ 日本経団連!!!
カテゴリ:
日記
徒然
2006/5/28
17:12
サービス価格上昇
マクドナルド
2006・5・28日経1ページ
価格上昇基調鮮明に
*市場は正直?*
多方面にわたり、価格上昇が鮮明になってきた。
物価上昇が、原油高以外の要因で現れ始めたようだ。
景気回復、賃金上昇が物価上昇要因となってきた。
日本マクドナルド メニュー6割 値上げ。
東京ディズニーランド 9月 料金引き上げ。
外国旅行パック 値上げ。
すかいらーく プレミアムハンバーグ(300円UP)売り出し。
ホテルオークラ 客室料金5%UP。
鳥取県 高校授業料UP。
パカラ 駐車場料金UP。
きょくとう クリーニング代UP。
Nado Nado!
4月の全国消費者物価指数(CPI)、前年同月より0,5%上昇。
日銀予想
2006年度 0,6%UP
2007年度 0,8%UP
みんなが、同じように上がるのであればいいのだが?
がんばれ 消費者!!!
カテゴリ:
日記
徒然
2006/5/27
10:18
国交省規制強化
コミュニティ交通
2006・5・27日経5ページ
規制官庁の復活か
*理念不在*
国土交通省がタクシー業界の規制強化に乗り出しているようだ。
鉄道事故や耐震偽装事故で高まった、安全意識を利用し、巨大規制官庁を目指すらしい。
規制緩和は自由競争を促進するが、過度になると安全無視、過剰競争に陥る。
その為、事後監視を強化するのだが、制度整備が付いていけないため諸問題が発生する。
もう一つ大きな問題は、官の権限縮小だ。
この権限縮小に反対する力が働くと、規制強化へと逆戻りをする。
今回の事が、そんな意味での規制強化にならない事を祈る。
がんばれ 国民!!!
追記
今、コミュニティー交通整備が各地で進行している。
将来的には、このシステムは発展させたいと思う。
カテゴリ:
日記
徒然
2006/5/26
19:52
電圧で色変わる新素材
電子ペーパー
2006・5・27日経17ページ
新素材開発
*面白い*
横浜国立大学が、電圧で色が変わる高分子材料を開発したらしい。
この材料、電圧変化により体積が変化し、これにより回折する光の色も変化するらしい。
電圧を上げていくと、波長の長い赤から波長の短い青へ連続的に変化するらしい。
色が変わるのに時間がかかるため、動画には不適だが電子ペーパーに応用できるようだ。
世の中は、私達の頭では付いてていけないほど進化している。
がんばれ 中年!!!
カテゴリ:
日記
徒然
2006/5/25
18:18
考えるだけで動くロボット
アシモ
2006・5・25日経13ページ
人間の脳で動くロボット
*すごい*
人間が考えただけで、ロボットが動く技術をホンダとATRが開発したらしい。
このロボット、人間が自分の頭でチョキを出そうと考えると、ロボットがチョキを出すらしい。
MRIを応用し、脳の血流量から活動データーを解析するらしい。
まだ実験段階だが、実用化されれば応用範囲は無限大だ。
アトムの世界は、すぐそこまで来ている。
がんばれ 日本!!!
カテゴリ:
日記
徒然
2006/5/23
22:9
チョト気になる話
市場原理主義
知人から面白いレポートを頂いた。
気になる文面があったので記す。
1)我々が、資源配分上依存できるのは、市場化による規律しかない。
2)市場メカニズムの貫徹と深化は、必然的な現象である。
もはや、誰もこの流れから逃れる事は出来ない。
私達は、市場と向かい合って生きていかなければならない。
3)保護者の殻を脱ぎ捨て、自立した責任ある日本人と日本を形成する事が規制緩和の最終
的目的であり、これが実現して消費者と生産者の自己責任が確立してはじめて、経済
構造・経済制度も真に競争対応の活力ある構造へと変化していく。
4)社会の成功者を妬むという、人間の陥りやすい嫉妬に正義感を与える事で共産主義やナチ
ズムは成り立っています。
しかし、嫉妬にいったん正義を与えると、社会の発展は止まり統制経済に陥ります。
ですから私達はこの嫉妬に正義感を与える事をやめて、強欲と気まぐれと怠惰に寛容にな
らなければならない。
市場原理主義の中で起こりうる発想か?
この発想の内には、弱者の保護がない。
市場原理主義の内には、5%の勝者と95%の敗者を作る事がインプットされている。
もう少し人間らしさが欲しいと思うのだが。
がんばれ 95%!!!
カテゴリ:
日記
徒然
2006/5/21
22:58
社会意識調査
努力
2006・5・21熊日1ページ
格差社会批判か
*努力*
国が、社会意識に関する世論調査についての質問結果を発表した。
「高い地位と多くの報酬を得るのが望ましい人」
1)・努力した人 60% 前回 50,9%
2)・実績を挙げた人 27,6% 前回 35,5%
「現実に、高い地位と多くの報酬を得ている人」
1)・努力した人 21,5%
2)・実績を挙げた人 51%
格差社会に対する批判か?
ホリエモン的時代は、いつまで続くのか?
難しい問題だが、どうかしなければいつかはつまづく。
がんばれ リーダー!!!
カテゴリ:
日記
徒然
2006/5/20
15:26
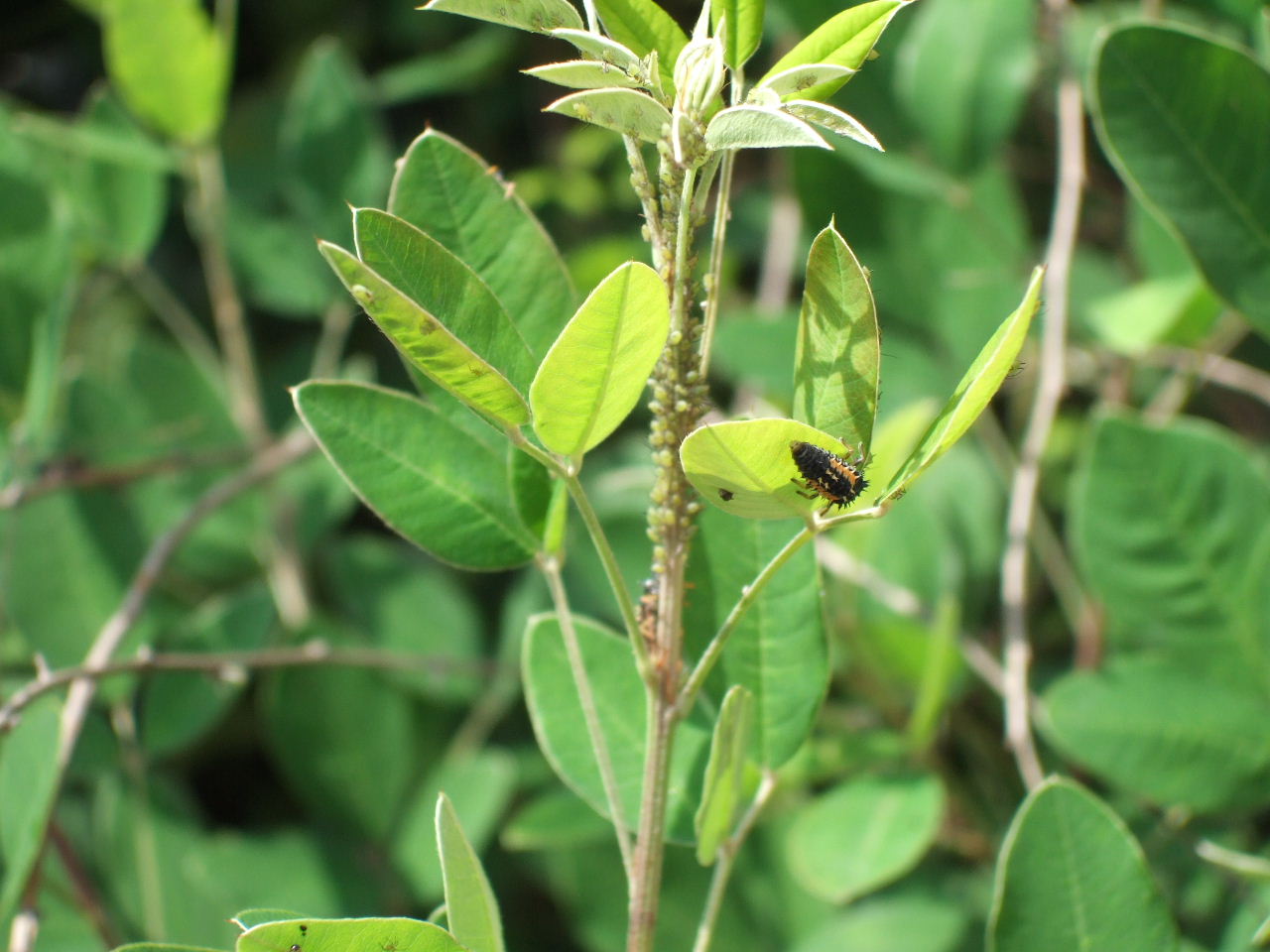
アブラムシとてんとうむし
萩
2006・5・20
アブラムシとてんとうむし
*感動*
我が家の庭には萩が2本ある。
毎年アブラムシがついて大変だ。
昨年は三回ほど消毒を行い、やっと退治した。
今年も例年と変わらず、沢山のアブラムシがついた。
しかし今年は、少し違うようだ。
一月ほど前から、アブラムシには気づいていたのだが、忙しくて消毒できないでいた。
ところが今日見てみると、アブラムシが少なくなっている。
不思議に思い観察していると、別の種類の虫たちが沢山うごめいている。
どうも、てんとうむしの幼虫のようだ。
萩の葉の上には、幼虫に混じって成虫やさなぎも沢山いる。
そうか、てんとうむしは、アブラムシの天敵か。
自然はとてつもなく、よく出来ている。
人間が、あまり手を加えなくても、自然は生き延びる術を十分知っている。
今年は、消毒をやめておこう。
がんばれ 萩!!!
カテゴリ:
日記
徒然
次の10件 >
Links
人気blogランキングへ
熊本県中小企業家同友会
農家の嫁の事件簿
プロジェクトもっこす!
オアシス
ファミーユ社長ブログ
ゲンキスクエア西生
ともちゃんさんの日記
ともさかりえ日記
訪問者数
今日:
昨日:
累計:
最新記事
水木しげるロード
東京の仕事
杉村精工企業訪問
昔懐かしい風景
テントウムシ2013
家族の年中行事
たばこのポイ捨てに思う
循環型農業
会議の日の一品
熊本市地球温暖化防止活動推進委員
Archives
2013年05月
2013年04月
2013年03月
2013年02月
2013年01月
2012年12月
2012年10月
2012年09月
2012年08月
2012年07月
2012年06月
2012年05月
2012年04月
2012年03月
2012年02月
2012年01月
2011年12月
2011年11月
2011年10月
2011年09月
2011年08月
2011年07月
2011年06月
2011年05月
2011年04月
2011年03月
2011年02月
2011年01月
2010年12月
2010年11月
2010年10月
2010年09月
2010年08月
2010年07月
2010年06月
2010年05月
2010年04月
2010年03月
2010年02月
2010年01月
2009年12月
2009年11月
2009年10月
2009年09月
2009年08月
2009年07月
2009年06月
2009年05月
2009年04月
2009年03月
2009年02月
2009年01月
2008年12月
2008年11月
2008年10月
2008年09月
2008年08月
2008年07月
2008年06月
2008年05月
2008年04月
2008年03月
2008年02月
2008年01月
2007年12月
2007年11月
2007年10月
2007年09月
2007年08月
2007年07月
2007年06月
2007年05月
2007年04月
2007年03月
2007年02月
2007年01月
2006年12月
2006年11月
2006年10月
2006年09月
2006年08月
2006年07月
2006年06月
2006年05月
2006年04月
2006年03月
2006年02月
2006年01月
2005年12月
2005年11月
2005年10月
QRコード
Recent Comments